Đức Long Newland
- Loại hình phát triển Căn hộ, Chung cư
- Chủ đầu tư Công ty CP Tập đoàn Đức Long Gia Lai
- Địa chỉ Bông Sao, Phố Tạ Quang Bửu, Phường 6, Quận 8, Hồ Chí Minh
- Tổng diện tích 70.000 m²
- Quy mô dự án Quy mô gồm 2 block, dự kiến cao 25 tầng, cung ứng 500 căn hộ
Thông tin dự án Đức Long Newland
Tọa lạc trên trục đường Tạ Quang Bửu, tuyến đường được đánh giá là đẹp nhất và quan trọng nhất của quận 8 với dân cư hiện hữu lâu đời cùng các tiện ích dịch vụ xung quanh, Đức Long Newland hứa hẹn tạo nên một không gian sống lâu dài, hiện đại, đẳng cấp của khu vực phía Tây thành phố.
Đức Long New Land là dự án sắp tới của Đức Long Gia Lai, chủ đầu tư cam kết sẽ tiếp tục là người đồng hành uy tín, đáng tin cậy đối với cổ đông, nhà đầu tư, khách hàng, các đối tác trong nước và quốc tế.
- Tên dự án: Đức Long Newland
- Vị trí: Đường Tạ Quang Bửu, phường 6, quận 8, Tp.HCM
- Chủ đầu tư: Công ty CP Tập đoàn Đức Long Gia Lai
- Tổng diện tích dự án: 70.000m2
- Quy mô dự án: Gồm 2 block, dự kiến cao 25 tầng, cung ứng 500 căn hộ

Phối cảnh tổng thể dự án Đức Long Newland
Vị trí Đức Long Newland:
Đức Long Newland nằm ngay vị trí đắc địa, ở mặt tiền đường Tạ Quang Bửu, phường 6, quận 8, Tp. HCM, kết nối thuận tiện với trung tâm thành phố và các vùng phụ cận.

Vị trí căn hộ Đức Long Newland trên bản đồ
Hạ tầng Đức Long Newland:
Tọa lạc tại vị trị vàng của quận 8, dự án Đức Long Newland thừa hưởng đầy đủ các tiện ích hiện hữu xung quanh như bệnh viện, trường học, bến xe, trạm xe buýt. Đồng thời, khu căn hộ này cũng sở hữu đầy đủ tiện ích nội khu như trường mầm non, siêu thị, quán cafe, spa, gym, hồ bơi... Hệ thống trần thạch cao cao cấp, chiếu sáng hiện đại và thiết bị nội thất hiện đại.



Các tiện ích dự án Đức Long Newland
Sơ đồ tổng thể Đức Long Newland
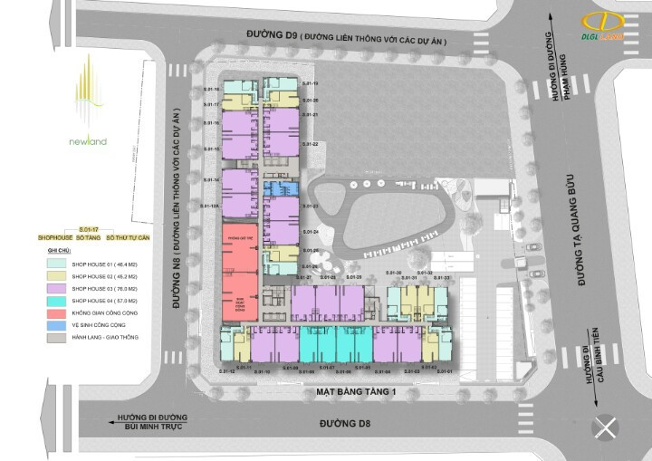
Mặt bằng Đức Long Newland
- Tầng 1
- Tầng 2
- Tầng 3
- Tầng 4
- Tầng 5-24
Các căn hộ tầng 3 Các căn hộ tầng 4 Các căn hộ tầng 5-24
THƯ VIỆN ẢNH Đức Long Newland
Tiến độ quý I/2017 (ngày 03/01/2017) Đức Long Newland
Tiến độ quý I/2017 (ngày 31/03/2017) Đức Long Newland
Lộ trình thanh toán Đức Long Newland
Ngân hàng Vietinbank bảo lãnh và cho vay trả góp khi khách hàng mua căn hộ Đức Long New Land, hỗ trợ vay tối đa 15 năm, vay tối đa 70% trị giá căn hộ.
Chủ đầu tư Đức Long Newland
- Công ty CP Tập đoàn Đức Long Gia Lai
- Địa chỉ:Số 02 Đặng Trần Côn, phường Trà Bá, TP. Pleiku, tỉnh Gia Lai
- Điện thoại:(059) 3748367
- Email: info@duclonggroup.com.vn
- WebSite:http://duclonggroup.com.vn
Công ty CP Tập đoàn Đức Long Gia Lai là một trong các Tập đoàn kinh tế tư nhân hàng đầu nước ta. Công ty họat động chủ yếu trong lĩnh vực đầu tư sản xuất kinh doanh, nông nghiệp, năng lượng và phát triển hạ tầng.
Trụ sở chính của công ty tọa lạc tại TP. Pleiku, Gia Lai, các chi nhánh nộ địa đặt tại Hà Nội, Tp.HCM, Quảng Ngãi, Đà Nẵng, Bình Định, Đăk Lăk, Đăk Nông, Lâm Đồng, Bình Phước… và các văn phòng đại diện của tại Nhật Bản, Singapore, Mỹ, Nhật Bản.
Với 20 năm xây dựng và trường thành, tập đoàn luôn kiên định với chiến lược phát triển bền vững, không ngừng đổi mới tư duy và nâng cao năng lực điều hành, quản lý. Công ty tự hào có mối quan hệ chặt chẽ với những Tập đoàn kinh tế và tổ chức tài chính hàng đầu tại khu vực và thế gới.
Hoạt động theo phương châm “Đi là đến”, Công ty CP Tập đoàn Đức Long Gia Lai cam kết sẽ tiếp tục là một thương hiệu uy tín, đáng tin cậy đối với khách hàng, nhà đầu tư, cổ đông và những đối tác trong nước và thế giới.
Tầm nhìn
Cố gắng phấn đấu trở thành tập đoàn đa ngành hàng đầu Việt Nam và khu vực Đông Dương từ 2015 - 2019
Sứ mệnh
Không ngừng sáng tạo và cải tiến chất lượng sản phẩm và dịch vụ, xây dựng hệ thống quản lý chuyên nghiệp và nâng cao năng lực cạnh tranh, liên tục tăng trưởng bền vững để tối đa hóa giá trị cho cổ đông, khách hàng, đối tác cùng cán bộ công nhân viên.
Dự án cùng khu vực
Khu căn hộ Chánh Hưng - Giai Việt
Đường Tạ Quang Bửu, Phường 5, Quận 8, Hồ Chí Minh
Giá từ:16 triệu/m²